Overview
- Updated On:
- May 8, 2026
- Listing ID
- W-103
- 1,600 m2
Description
Secret Plot 1 Rai Land for Sale in Paknampran
The Secret Plot 1 Rai Land for Sale is located in Paknampran, Pranburi. This spacious 1 Rai (approximately 1600 sq. meters) offers an incredible opportunity for those looking to invest in a prime piece of land. The surrounding area is experiencing significant growth, with new homes being developed all around, indicating a vibrant community on the rise. Additionally, the proximity to essential services and local amenities enhances the appeal of this location.
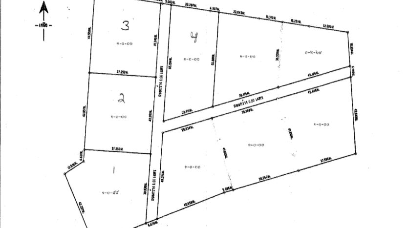
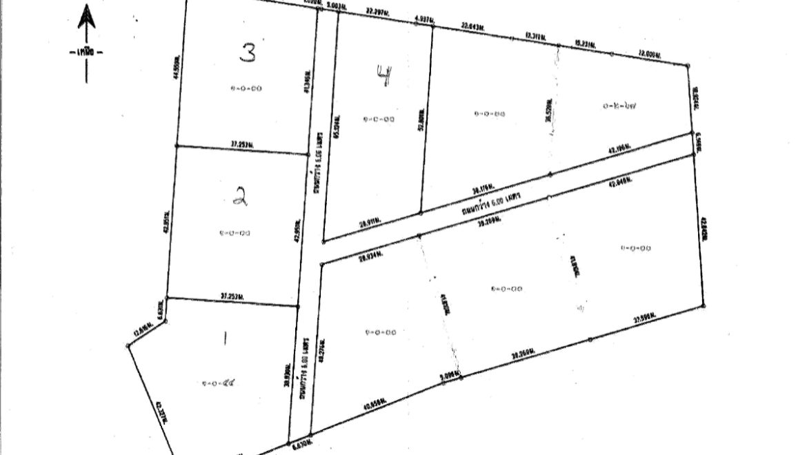
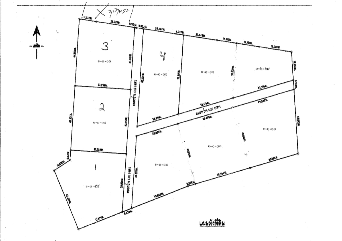
This is labeled as lot #3 in the property diagram, and prospective buyers can feel confident in the investment, as the seller is committed to ensuring a smooth transaction by covering all transfer costs associated with the sale. This commitment not only simplifies the buying process but also adds value to the investment.
The land parcels are in the process of being divided, with new surveys and Chanote titles anticipated to be finalized by January 2026. This ensures future owners a secure and transparent ownership process. The property is easily accessible via a government-paved road, and essential utilities like electricity, water, and internet are already in place, which adds to the convenience and practicality of the location.
The availability of these amenities makes it an ideal spot for building a modern residence or a vacation home, where one can enjoy the comforts of contemporary living while being immersed in nature. Furthermore, the land’s topography is generally flat, making it easier for construction and landscaping.
This region boasts a peaceful atmosphere, making it a prime spot for creating your dream home. The land’s dimensions are well-suited for designing a spacious residence, complemented by a pool and lush gardens that provide ample room for outdoor leisure and enjoyment. Imagine enjoying warm sunny days by your private pool or hosting family gatherings in your beautifully landscaped yard. The design possibilities are endless here, allowing for a personal touch that reflects your lifestyle and preferences. Residents can take advantage of the serene environment to unwind, entertain, or engage in various outdoor activities.
This property offers a fantastic chance to acquire a stunning, ideally situated plot close to the beach. Nestled within the enchanting setting of Paknampran, it’s a perfect investment for those seeking to embrace nature and the warmth of community living. It’s not merely about owning land—it’s about experiencing the lifestyle that accompanies it.
The area is known for its vibrant sunsets and scenic views, making it a picturesque location for both relaxation and recreation. If this sounds appealing, prospective buyers are invited to reach out via message or phone to arrange a viewing of this lovely 1 Rai land for sale, where they can imagine the possibilities of their future home and the life they could build in this unique location.
Paknampran Land for Sale Area Information
Explore Our Secret Plot 1 Rai Land for Sale
Paknampran offers a charming and tranquil setting for those seeking a place to call home. Its expansive beachfront is complemented by dedicated walking and biking paths that extend all the way to Khao Kalok. These scenic trails are ideal for morning runs or relaxed evening walks, providing residents with the perfect opportunity to immerse themselves in the area’s stunning natural surroundings. Additionally, the beach is known for its soft sand and clear waters, making it perfect for swimming and sunbathing. Local wildlife can often be seen, which adds to the area’s natural charm.
Paknampran boasts a breathtaking coastline and an array of restaurants serving both Thai and Western cuisine, ensuring there’s something to satisfy every palate. Everyday essentials are readily accessible thanks to several nearby 7-11 stores and local markets, allowing residents to enjoy both convenience and variety in their shopping options. As a charming part of Pranburi, Paknampran combines tranquility with convenience, making it a perfect choice for families, retirees, and anyone seeking a peaceful beach-side lifestyle. The community also hosts local events and markets, allowing residents to experience the culture and hospitality of the region.
With the ongoing development in the area, property values are expected to rise, positioning this 1 Rai Land for Sale as both an ideal location for a dream home and a promising investment opportunity. The neighborhood offers a warm and inviting environment, blending local charm with a community of expatriates, creating a harmonious and friendly atmosphere.
Residents can enjoy a range of recreational activities, such as water sports, fishing, and visits to nearby natural parks. The parks in the vicinity provide excellent options for hiking, bird watching, and connecting with nature, ensuring that there is always something to do. This Paknampran land for sale represents not just an investment in property, but an investment in a lifestyle filled with adventure and community.
Investing in the Secret Plot 1 Rai Land for Sale is an opportunity to be part of a growing community that values nature, tranquility, and modern living. As the area continues to develop, prospective buyers can look forward to an increase in local amenities and services, enhancing the quality of life.
The potential for appreciation in property value makes this land not only a place to build a home but also a strategic investment. Whether for personal use or as a rental property, this land offers versatile possibilities that align with various lifestyle needs. Take the step towards securing your future by considering this unique opportunity to own a piece of paradise in Paknampran.
This secret plot 1 rai land is brand new on the market and has not been advertised. You can be the first to see this and the other land lots in the area for sale. Contact us now.
- Principal and Interest
- Property Tax
- HOA fee
- Private Mortgage Insurance










