Overview
- Updated On:
- May 11, 2026
- Listing ID
- W-101
- 1,600 m2
Description
Property Description
Land for Sale in Paknampran
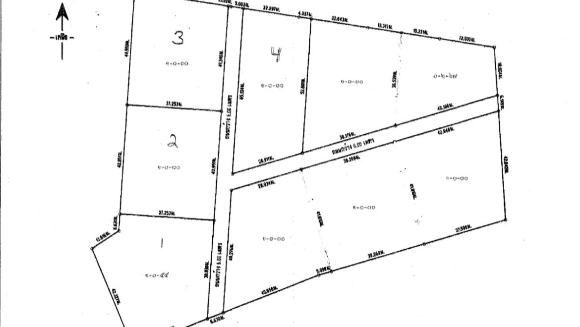
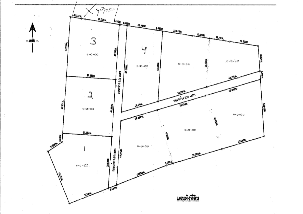
Land for sale in Paknampran, Pranburi. 1 Rai (1600 sq. meters). Very nice location with new homes being built all around. This is labeled as lot #1 in the property diagram. Seller will pay all transfer costs.
The lots are being divided now and new survey and Chanote titles will be ready in January 2026. Government paved road leading to land with electric, water and internet available. Very nice and quite area, perfect for building your dream home. Land size is perfect for building a large home with pool and gardens.
A great opportunity to purchase very nice land in a great area near the beach.
Message or call for a viewing of this nice land for sale.
Land for Sale in Paknampran Area Information
The Paknampran area is a wonderful and peaceful place to live. A long beachfront with walking and bike lanes all the way to Khao Kalok. Many restaurants serving a variety of Thai and Western dishes and several 7-11 stores. Paknampran is part of Pranburi. You can read More information about Paknampran.
- Principal and Interest
- Property Tax
- HOA fee
- Private Mortgage Insurance









